Naziv vsebine
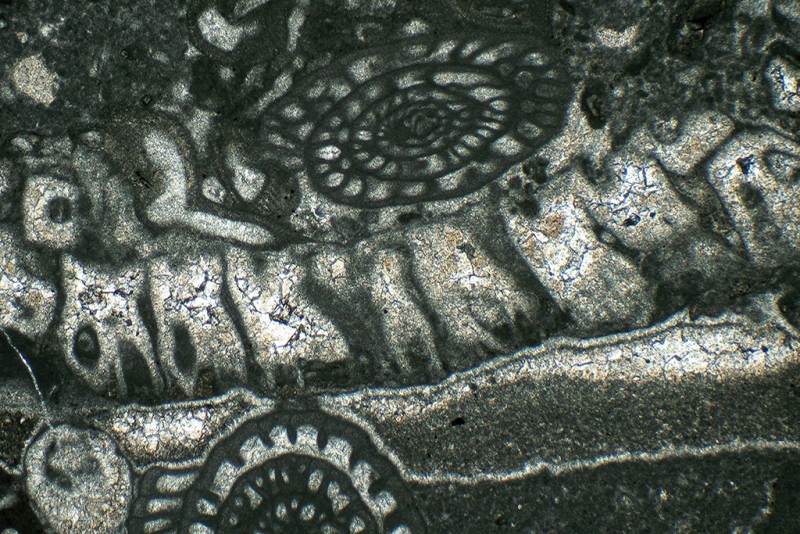
Fusulinids with ?Biomoldic Void
Site
PMH-1, Javorniški Rovt, the western Southern Karavanks.
Notes
Bioclastic rudstone with a peloidal-bioclastic packstone matrix (biopelmicrudite), containing fusulinids and dasyclad, alongside a dissolution void (?biomoldic pore space) outlined by isopachous cement rim. The void is filled with geopetal infilling of ca
Lithostr. Unit
Trogkofel Formation (upper part)/Goggau Limestone?
Envir. Setting
Back-reef or back-bank lagoon with well-lit, well-agitated shallow water indicated by dasyclads and Osagid grains.




